태풍경로 카눈 실시간







8월 5일 태풍 카눈한반도로 경로변경하는 모습입니다.
아래 링크는 위성 천리안을 통해 현재 태풍 상황을 체크할 수 있습니다. 위성누리호 및 천리안 2호 위성에서 태풍의 세기와 태풍의 크기 외에 태풍의 경로 방향을 자세히 관찰할 수 있으니 위성으로 보고 싶으신 분은 아래 링크를 통해 이번 태풍의 크기를 확인하시기 바랍니다.
누리호 위성의 태풍 경로를 확인해 주세요.
태풍 일본 최대 피해영상 봅니다.
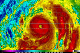
◐ 천리안위성 2호에서 보는 태풍의 경로와 태풍의 눈입니다.
태풍경로 카눈 실시간
▣ 현재 태풍의 경로 모습입니다.
올여름 강력한 태풍이 북상하면서 한반도에도 많은 피해를 남길 수 있어 사전에 대비가 필요하며, 행정안전부에서 제작하여 배포한 태풍 발생 시 국민행동요령을 반드시 숙지하고 유사시 침착하게 대처해야 우리 가족과 모두의 안전을 지킬 수 있습니다. 태풍 경로를 TV, 라디오 등으로 기상정보를 청취하여 제가 있는 지역의 상황을 지속적으로 파악해 주시거나 아래 링크에서 현 시간 태풍 경로를 확인하여 미연에 사고 예방하는 것도 좋은 방법입니다.
현재 시간대에 태풍 경로를 확인해주세요.
태풍의 위치를 사전에 인지하여 사고를 예방하세요.
▣ 현재 태풍의 강도와 이동 속도입니다.
▣ 시민안전보험입니다
먼저, 이번 태풍으로 인해 재해·사고 발생 시·도민의 생명·신체피해를 보상하고자 지방자치단체가 자율적으로 보험사·공제회와 가입 계약한 보장제도도 있으니 태풍으로 사고 발생 시 아래 링크를 통해 지역시민안전보험에 접수해 주시기 바랍니다.
* 지자체 보험 가입 시 해당 지자체에 주소를 둔 시·도민은 별도 절차 없이 일괄 가입하고 있습니다.
시민안전보험 사이트 링크를 복사하거나 즐겨찾기에 등록하여 미연의 사고에 대비하는 것도 좋은 방법입니다.
태풍경로 카눈 실시간
시민안전보험을 확인해주세요
▣ 풍수해 보험이라니요
행정안전부가 관장하고 민영보험사가 운영하는 정책보험으로서 보험가입자가 부담해야 할 보험료의 일부를 국가나 지자체에서 보조함으로써 국민은 저렴한 보험료로 예기치 못한 풍수해(태풍, 홍수, 호우, 해일, 강풍, 풍랑, 폭설, 지진)에 대해 스스로 대처할 수 있도록 하는 선진국형 재난관리제도입니다.
정부가 보험료의 70~ 100%를 지원합니다.
풍수해 보험을 조사하는 것입니다.
◐ 집중호우 발생 시 이렇게 대처하세요!
▶ 계단이 침수된 경우입니다
신속하게 상황을 파악한 후 119에 신고하고 수심이 무릎 이하일 경우 신속히 탈출하시기 바랍니다.
슬리퍼, 하이힐 등의 경우 신발을 벗고 맨발로 탈출하는 것이 안전합니다.
▶ 자택이나 건물 안이 침수된 경우는
먼저 전기전원을 차단하고 수위가 30cm 이하(종아리 아래)일 경우 신속히 문을 열고 탈출하십시오.
출입문이 열리지 않을 경우 신속하게 119에 신고하여 주변 사람들과 힘을 합쳐 대피하시기 바랍니다.
▶ 외부활동 중 하천이 범람한 경우입니다.
반드시 안전지대에서 야영하고 대피방송이 나오면 신속히 대피하시기 바랍니다.
유속이 빠르고 물이 무릎까지 차가울 경우 이동하지 말고 119 신고 등을 통해 안전 확보 후 이동하시기 바랍니다.
◐ 도로 침수 시 대처 방법입니다.
▶ 침수된 도로는 우회하세요!
도로 맨홀이 이탈하거나 우뚝 서는 현상이 발생할 수 있으므로 맨홀을 피해 안전 운행하시기 바랍니다.
밤에는 운전을 삼가고 도로 경사로의 유속이 빠른 곳은 절대 피하십시오.
▶ 차량 침수 우려가 있다고요?
승용차 기준 타이어 높이의 2/3 이상이 잠기기 전에 차량을 안전한 장소로 이동하십시오.
창문이 열리지 않는 경우에는 자동차 문을 마음껏 누르면 열 수 있으므로 탈출하여 대피하십시오.
※ 시동이 꺼져도 전자기기 고장이 아닌 경우 창문이나 선루프를 열 수 있습니다.
※ 위급상황에 대비하여 미리 열어두면 신속한 탈출이 가능합니다.
태풍경로 카눈 실시간
▶ 차가 침수되면 어떨까요?
내외부의 수압차로 차량 문이 열리지 않을 경우를 대비하여 창문을 미리 열어 두세요.
미리 창문을 열지 못한 경우 차량 내·외부 수위 차이가 30cm 이하로 날 때까지 기다렸다가 신속히 탈출합니다. ※ 초등학교 고학년(5~6학년) 이상의 힘이면 쉽게 열 수 있습니다.
◐ 침수된 교량에 대한 대처 방법입니다.
▶ 침수된 교량에서는요?
급류가 발생하여 교량이 잠겨 있는 경우 하천에는 절대 진입해서는 안됩니다.
하천에서 급류가 발생할 경우 얕은 수심에서도 차량이 떠내려가기 쉬우므로 절대 진입해서는 안됩니다.
▶ 불가피한 상황에서 급류하천에 진입했다면요?
반대편 문이 열리지 않거나 내릴 수 없는 경우 딱딱한 물건으로 유리창을 깨주세요.
창문 가운데 부분보다 모서리를 마음껏 두드리거나 발로 쪼개주세요. 급류 흐름 반대편 문을 열고 신속하게 탈출하세요.
탈출 후 가까운 제방 위를 조심해서 걸어서 대피하세요.






역대급 무더위가 계속되고 있다. 특히 제6호 태풍 카눈의 영향으로 무더위는 한증막을 방불케할 정도다.
5일 기상청 태풍 예상경로에 따르면 제6호 태풍 카눈의 이동 경로는 한반도 동해상을 향해 북상 중이다.
어제까지만 해도 카눈은 서쪽 방향으로 기울면서 우리나라는 태풍의 간접 영향권에 들 것으로 예상됐지만, 현재는 태풍의 눈 한 가운데를 지날 가능성도 있어 보인다.
5일 03시 카눈의 세력은 '강'으로 일본 오키나와 북서쪽 약 200km부근 해상에 위치해 있었다.
이 태풍은 오늘 15시경 일본 오키나와 북북서쪽 약 150km까지 북상할 예정이다.
내일 03시에는 일본 오키나와 북북동쪽 약 170km 부근 해상까지 올라올 것으로 예보됐다.
이후 카눈은 곧장 가고시마 남쪽 해상을 따라 북상하며, 가고시마 지역은 태풍의 눈 정 가운데 위치할 것으로 예상된다.
태풍은 오는 10일쯤 세력이 약해질 것으로 예상된다. 세력이 '강'에서 '중'으로 바뀌겠다.
태풍 '강'의 세력은 33~43m/s로 이는 성인 남성이 제대로 서 있지도 못할 정도의 강도다.
세력이 '중'으로 약해지겠지만 이 또한 강도가 만만치 않다.
마찬가지로 성인이 5분 안에 온몸이 흠뻑 젖을 정도로 비바람이 세다.
태풍 카눈의 영향으로 한반도는 한증막 날씨를 방불케 할 정도로 덥다.
종합하면 현재 정확한 제6호 태풍 카눈의 중심위치는 북위 27.6도, 동경 126.3도다.
일본 오키나와 북서쪽 약 200km 해상에 위치하고 있다. 중심기압은 970hPa, 최대풍속은 초속 35m, 시속으로는 126km다.
강도는 강으로 시속 12km의 속도로 북동진하고 있다. 제6호 태풍 카눈은 8월 7일 새벽 일본 가고시마 남쪽 약 360km 해상까지 동북동진한 후 일본 규슈로 북북동진하여 9일 새벽에는 일본 가고시마 북동쪽 약 100km 부근 육상에 진입하겠다.
일본 규슈를 통과한 후에는 동해로 진입해 10일 새벽에는 부산 북동쪽 약 180km 부근 해상으로 북상해오겠다.
서해와 일본 동쪽에 고기압이 위치하고 일본 오키나와 부근에 제6호 태풍 카눈과 중국 북동지방에 저기압이 위치하면서, 우리나라는 안장부에 위치하겠다.
서해에 위치한 고기압에서는 중국 내륙에 달궈진 더운 공기를 우리나라로 유입시키고 제6호 태풍 카눈도 남쪽의 더운 공기를 우리나라로 유입시켜 폭염과 열대야가 이어지겠습.
5일 기상청에 따르면 현재 일본 오키나와 북서쪽 약 200㎞ 부근 해상을 지나고 있는 태풍 카눈은 오는 7일부터 진행경로를 바꿔 9일 오후부터 밤사이에 동해상으로 진출하고 10일 오전 9시에 울릉도 남동쪽 약 40㎞ 부근 해상에 도달할 전망이다. 이날 기준 태풍 카눈의 중심 기압은 970hPa(헥토파스칼), 중심 최대풍속은 초속 35m(시속 126km), 강도는 ‘강’이다. 당초 강도가 ‘매우 강’이었지만 일본에서 비바람을 쏟아내며 강도가 소폭 약화한 것이다.
카눈이 진행경로를 바꾸면서 한반도에는 7일부터 10일까지 나흘간 비가 내릴 것으로 예상된다. 10일 오전 3시에 부산 북동쪽 약 180㎞ 부근 해상을 지나는 카눈은 강원 영동과 경상도 동해안 지역을 중심으로 강한 바람을 동반한 많은 비를 내릴 것으로 전망된다.
특히 대구와 울산, 독도와 울릉도 지역은 태풍의 강풍 반경에 근접해 강풍 피해를 주의가 필요하다. 10일 해당 지역에는 초속 32m(시속 115.2㎞)로 지붕이 날아갈 수 있는 강한 바람이 불 것으로 예측됐다.
기상청은 “태풍의 위치 변동성이 매우 크다”며 “태풍이 우리나라에 상륙할 가능성도 배제할 수 없다”고 전망했다. 또 “제주도 해상과 남해상을 중심으로 매우 높은 물결이 일 수 있다”며 피해에 대비할 것을 당부했다.
기상청에 따르면 현재 동해의 수온은 27~29도로 평년보다 3~4도 높다. 이에 따라 태풍이 동해상에서 북진하면서 세력을 유지할 가능성이 커 수도권과 강원도, 충청도 등 전국 대부분 지역도 태풍의 영향을 받을 가능성이 있다.


태풍경로 카눈 실시간




















































































































































































